✏️ 29/Mar/2026
RM 8,540,000
📍 Masai, Masai, Johor
Masai_Jalan Kong Kong @ Petrol Land For Sale
Property Highlights
Masai_Jalan Kong Kong @ Petrol Land For Sale
Property Details
Listing Category
Land
Property Listing
Subsale
Property Category
Commercial Land
Property Type
Commercial Land
Tenure
Freehold
Property Furnishing
Unfurnished
Description
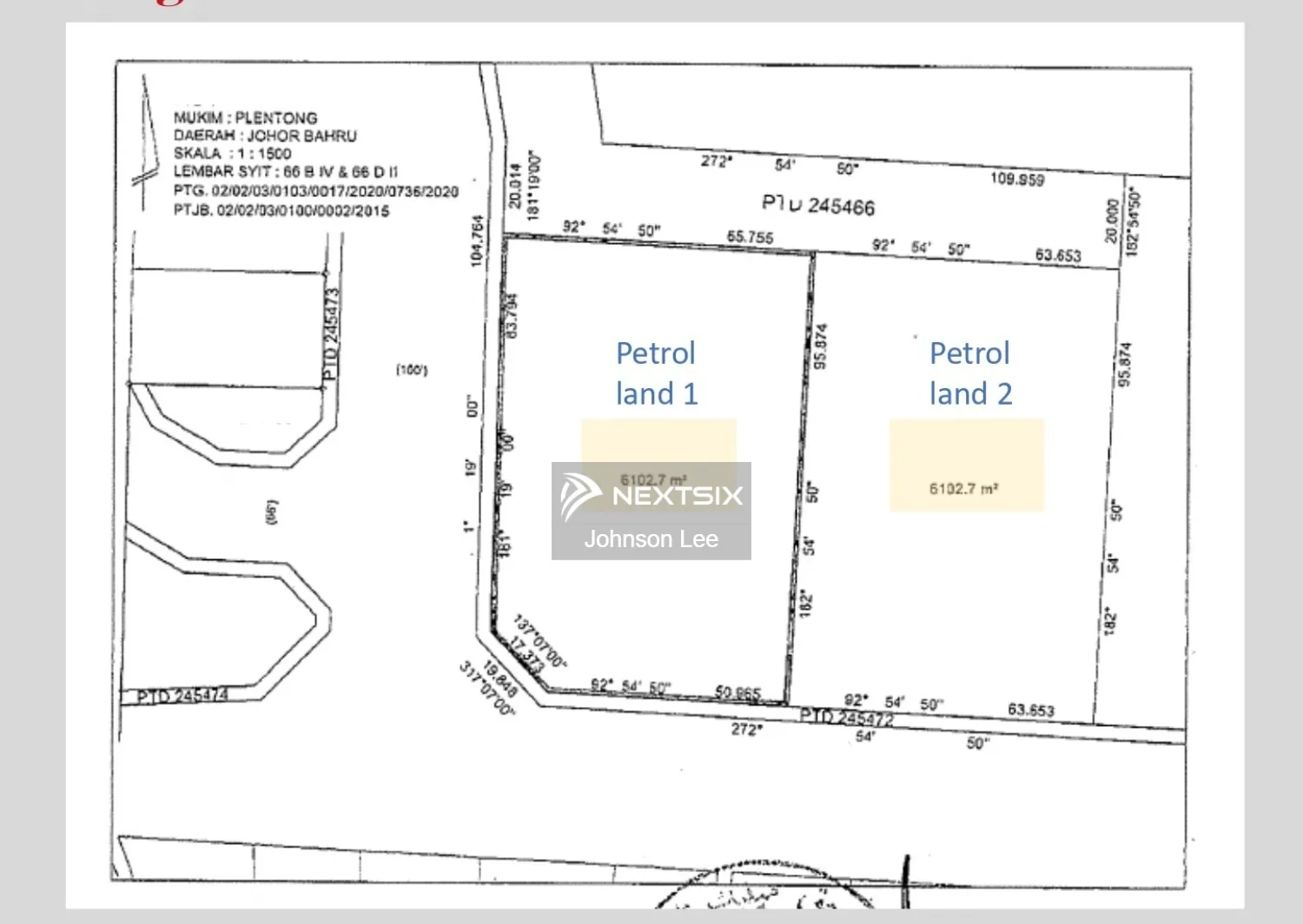
Hot Hot Masai_Jalan Kong Kong @ Petrol Land For Sale Land Size - 65,689sf (6,102.7sqm) Sale - Rm8,540,000.00 (Per Lot) Per Sf Rm130
Nearby

Johnson Lee
Verified Agent
7
018-2539244
The Roof Realty | REN22601
Mortgage Calculator
RM0
Loan Amount
RM 0
Disclaimer
The results from this calculator are provided as a general basis for information and do not constitute approval from any bank or financial institution. Any person acting in reliance of this information does so entirely at their own risk. The Next Six Sdn Bhd is not responsible for any loss arising directly or indirectly as a result of any action or omission made in reliance of any information presented.












